Квартира с 5 комнатами в Грац-Умгебунг, Австрия № 223344
$ 519 010
$ 2 648 цена за м²
5
Комнат
1
Ванных
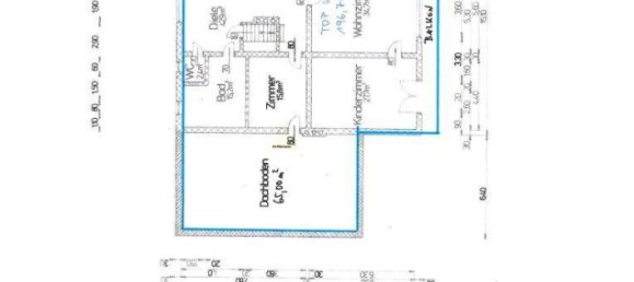
196
Жилая площадь, м²
Грац-Умгебунг, Австрия
Параметры
Комнат
5
Ванных
1
Жилая площадь, м²
196
ID
223344
Тип
Квартира
Дата сдачи
IV квартал, 1970
Особенности
Особенности
- Балкон
Внутренняя инфраструктура
- Гараж
Внешняя инфраструктура
- Парковка






















