Property description
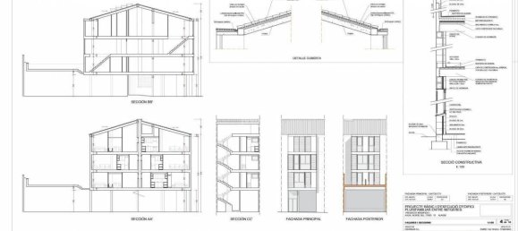
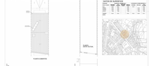
Attention investors and promoters! Building currently under construction in a residential area of Alaior, in the centre of Menorca with many amenities close by.The plot is approximately 200 m² and the construction will be 12.5 metres high over three floors with an interior surface of 550 m².
It is planned to build 4 houses, a garage and a small premises.
Do not hesitate to contact us for further information plus details of building plans.












VYM CANARIAS REAL ESTATE