Земельный участок в Лангенцерсдорф, Австрия № 113380
$ 174 825
Лангенцерсдорф, Австрия
Параметры
ID
113380
Адрес
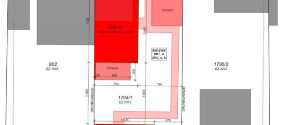
Alleestraße, 22
Тип
Земельный участок
Площадь участка, м²
708
Особенности
Внешняя инфраструктура
- Парковка
- Сад








Betterhomes Real GmbH