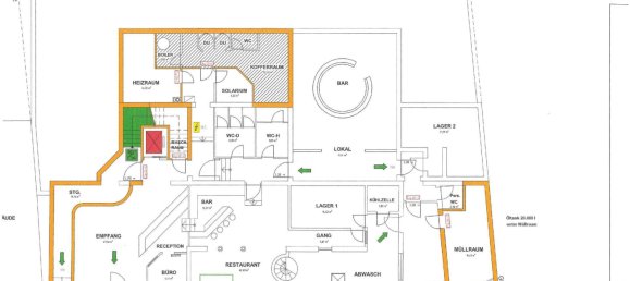
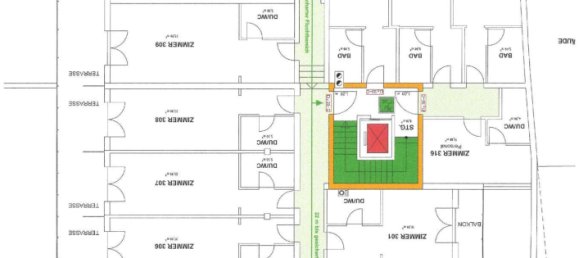
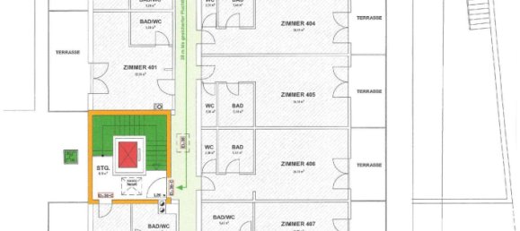
54-Zimmer Hotel in Kappl, Austria, Nr. 219346
$ 4 840 050
$ 2 204 pro m²
54
Zimmer
54
Badezimmer
2196
Wohnfläche, m²
Kappl, Austria
Parameter
Zimmer
54
Badezimmer
54
Wohnfläche, m²
2196
ID
219346
Art
Hotel
Landfläche, m²
1987
Übergabetermin
IV Gegend, 1961
Besonderheiten
Besonderheiten
- Balkon
Interne Infrastruktur
- Fahrstuhl
Externe Infrastruktur
- Parkplatz
- Garten


























