Beschreibung der Immobilie
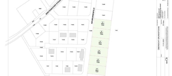
BAUTRÄGER aufgepasst! Zum Verkauf stehen 6 Grundstücke zur Bebauung mit Doppelhäusern in idyllischer Lage in Wieselburg! Die Grundstücke umfassen gesamt 5796m² - 6 Parzellen zu je 966m². Doch nicht nur die idyllische Lage zeichnet dieses Grundstück aus. Auch die verkehrsgünstige Anbindung spricht für sich. Sie erreichen die nächste Bushaltestelle in nur wenigen Gehminuten und auch der Bahnhof ist nur einen Katzensprung entfernt. Für Pendler ist die Autobahnauffahrt ebenfalls schnell zu erreichen, sodass Sie in kürzester Zeit in umliegende Städte wie St. Pölten oder Linz gelangen. Neben der guten Verkehrsanbindung bietet Wieselburg auch eine ausgezeichnete Infrastruktur. In unmittelbarer Nähe befinden sich ein Arzt, eine Apotheke, eine Schule sowie ein Kindergarten, sodass Sie und Ihre Familie bestens versorgt sind. Auch für den täglichen Bedarf finden Sie alles in der Nähe - sei es der Supermarkt, die Bäckerei oder das Einkaufszentrum. Die Adresse lautet: Am Brunnenfeld, 3250 Wieselburg Folgende Grundstücke stehen zum Verkauf: Gst. 714/42 966m² Gst. 714/43 966m² Gst. 714/44 966m² Gst. 714/45 966m² Gst. 714/46 966m² Gst. 714/47 966m² Die Grundstücke können sowohl mit einem Einfamilienhaus als auch mit Doppelhäusern bebaut werden! Es besteht eine Bauverpflichtung binnen 5 Jahren (bis 30.12.2026 - Verlängerung um 2 Jahre möglich). Kaufpreis zzgl. Vermessungskosten und Anschlusskosten: Anteile Vermessungskosten: € 900,-Aufschließungskosten Gemeinde WieselburgKanalanschlussgebühr Schmutzwasser Gemeinde Wieselburg: bebaute Fläche : 2 x angeschlossene Geschoße + 1 x Euro 11,50Kanalanschlussgebühr Regenwasser Gemeinde Wieselburg: bebaute Fläche x Euro 5,50Wasseranschlussgebühr Gemeinde Wieselburg: bebaute Fläche : 2 x angeschlossene Geschoße + 1 x Euro 7,00Wenn wir Ihr Interesse geweckt haben, dann kontaktieren Sie uns oder vereinbaren Sie einen Besichtigungstermin. Irina Scharinger, Anbieter kontaktieren Noch nichts gefunden? Wir informieren Sie über geeignete Immobilienangebote noch vor allen anderen. Legen Sie jetzt Ihren individuellen Suchagenten unter folgendem Link an. Wir schicken Ihnen passende Immobilien exklusiv vorab zu. Suchagent anlegen - https://eurea-real-estates.service.immo/registrieren/de Wir weisen darauf hin, dass zwischen dem Vermittler und dem zu vermittelnden Dritten ein familiäres oder wirtschaftliches Naheverhältnis besteht. Der Vermittler ist als Doppelmakler tätig. Infrastruktur / Entfernungen Gesundheit Arzt











