Beschreibung der Immobilie
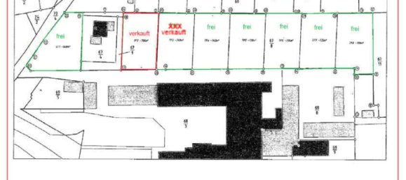
Nutzen Sie diese einmalige Gelegenheit!In Leisnig-Fischendorf stehen jetzt attraktive Grundstücke ab ca. 733 qm zur Verfügung. Von den insgesamt acht Grundstücken ist bereits eines verkauft - Sie haben also noch die Möglichkeit, aus einer Auswahl an Grundstücken das für Sie passende zu wählen!
Verfügbare Grundstücke:
FT1 - ca. 849 qm
FT3 - ca. 749 qm (bereits verkauft)
FT4 - ca. 743 qm
FT5 - ca. 738 qm
FT6 - ca.
734 qm
FT7 - ca. 733 qm
FT8 - ca. 796 qm
(Die Preise variieren entsprechend der Größe der Grundstücke.)
Die Grundstücke liegen leicht erhöht und bieten einen traumhaften Blick auf die Freiberger Mulde sowie das gegenüberliegende Schloss. In Planung steht zudem der Abriss alter Gebäude entlang der rechten Zufahrtsseite, wodurch sich der freie Blick noch weiter verbessern wird.
Nutzen Sie jetzt die Gelegenheit, sich ein zukunftsorientiertes Grundstück in bester Lage zu sichern!
Weitere Angebote unter www.GARANT-IMMO.de
FT7 - ca. 733 qm
FT8 - ca. 796 qm
(Die Preise variieren entsprechend der Größe der Grundstücke.)
Die Grundstücke liegen leicht erhöht und bieten einen traumhaften Blick auf die Freiberger Mulde sowie das gegenüberliegende Schloss. In Planung steht zudem der Abriss alter Gebäude entlang der rechten Zufahrtsseite, wodurch sich der freie Blick noch weiter verbessern wird.
Nutzen Sie jetzt die Gelegenheit, sich ein zukunftsorientiertes Grundstück in bester Lage zu sichern!
Weitere Angebote unter www.GARANT-IMMO.de









