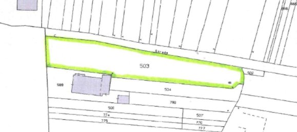
Grundstück in Vauda Canavese, Italy 2771m², Nr. 232530
$ 40 863
$ 15 pro m²
2771
Wohnfläche, m²
Vauda Canavese, Italy
Parameter
Wohnfläche, m²
2771
ID
232530
Adresse
via Ceretti, 1
Art
Grundstück
Statistics Vauda Canavese
$ 4 529
Price per m²
145
Quality of Life Index
61
Cost of living Index
Parameter
[:second_city:]
Turin
Unterschied
Monthly Rent Cost
1-Room Apartment
$ 868
2-Room Apartment
$ 640
Apartment Purchase Price per m²
In the City Center
$ 4 529
Outside the City Center
$ 2 185
Kriminalitätsindex
52
Lebenshaltungskosten Und Mietspiegel
42
Kaufkraftindex
98
Immobilien Preis-Einkommen-Verhältnis
8
Sicherheitsindex
48
Verkehr CO₂ Index
3522
Verkehr Ineffizienz Index
99
Mietindex
19
Gesundheitsindex
65
Lebensmittelindex
62
Schadstoffindex
68
Verkehr Pendeln Zeitindex
28
Restaurant Preisindex
64
Klimaindex
86
Lebenshaltungskosten Index
61
Lebensqualität Index
145
Verkehrsindex
104
Restaurants
Mahlzeit, preiswertes Restaurant
$ 17.58
Mahlzeit für 2 Personen, Mittelklasse-Restaurant, Drei-Gänge-Menü
$ 79.11
McMeal bei McDonalds (oder gleichwertige kombinierte Mahlzeit)
$ 13.48
Hausbier (0,5 Liter drapiert)
$ 7.03
Importiertes Bier (0,33 Liter Flasche)
$ 4.69
Cola / Pepsi (0,33 Liter Flasche)
$ 3.56
Wasser (0,33 Liter Flasche)
$ 1.30
Cappuccino (reguläre)
$ 1.97
Märkte
Milch (normal), (1 Liter)
$ 1.59
Laib frisches Weißbrot (500g)
$ 2.35
Eier (normal) (12)
$ 3.73
Lokaler Käse (1 kg)
$ 17.43
Wasser (1,5 Liter Flasche)
$ 0.59
Flasche Wein (Mittelklasse)
$ 8.20
Hausbier (0,5 Liter Flasche)
$ 1.68
Importiertes Bier (0,33 Liter Flasche)
$ 2.18
Zigaretten 20er Pack (Marlboro)
$ 7.03
Äpfel (1 kg)
$ 2.38
Hähnchenfilets (1kg)
$ 12.48
Orangen (1kg)
$ 2.49
Kartoffel (1 kg)
$ 1.98
Eisbergsalat (1 Kopf)
$ 1.47
Reis (weiß), (1kg)
$ 3.24
Tomaten (1kg)
$ 3.29
Banane (1kg)
$ 2.23
Zwiebel (1kg)
$ 1.87
Rindfleisch Rund (1kg) (oder Gleichwertiges Hinterbein Rotes Fleisch)
$ 20.71
Transport
One-Way-Ticket (Nahverkehr)
$ 2.34
Monatskarte (regulärer Preis)
$ 44.54
Benzin (1 liter)
$ 2.08
Volkswagen Golf 1.4 90 KW Trendline (Oder einen Gleichwertigen, Neuen Auto)
$ 35 161
Taxi-Start (Normaler Tarif)
$ 4.69
Taxi 1km, (Normaler Tarif)
$ 1.58
Taxi 1 Stunde Warten (Normaler Tarif)
$ 30.24
Toyota Corolla Limousine 1,6 l 97kW Komfort (Oder einen Gleichwertigen, Neuen Auto)
$ 37 415
Dienstprogramme (monatlich)
Basic (Strom, Heizung, Kühlung, Wasser, Müll) für 85m2 Wohnung
$ 231
Internet (60 Mbps oder Mehr, Unbegrenzte Daten, Kabel/ADSL)
$ 29.24
Mobile Phone Monthly Plan with Calls and 10GB+ Data
$ 11.89
Gehälter und Finanzierung
Durchschnittliches Monatliches Nettoeinkommen (Nach Steuern)
$ 2 045
Hypothekenzinssatz in Prozent ( % ), Jährlich, seit 20 Jahren Fester Zinssatz
3%
Sport und Freizeit
Fitness-Club, Monatliche Gebühr für 1 Erwachsener
$ 46.24
Tennisplatz Mieten (1 Stunde am Wochenende)
$ 34.89
Kino, Internationale Freigabe, 1 Sitz
$ 9.38
Kleidung und Schuhe
1 Paar Jeans (Levis 501 Oder Ähnlich)
$ 78.79
1 Sommerkleid in einer Filiale (Zara, H&M,...)
$ 39.77
1 Paar Nike Laufschuhe (Mid-Range)
$ 93.29
1 Paar Männer Leder Business Schuhe
$ 145
Kinderbetreuung
Vorschule (oder Kindergarten), Ganztägig, Privat, Monatlich für 1 Kind
$ 770
Internationale Grundschule, Jährlich für 1 Kind
$ 11 730












