Description de la propriété
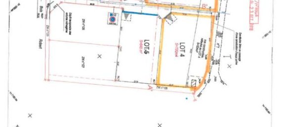
Terrain 1030 m² AZE L'ADRESSE IMMOBILIER BLOIS vous propose sur la commune de AZE (41) proche toutes commodités, commerces, écoles UN TERRAIN A BATIR de 748 à 1030m² viabilisés LIBRE CONSTRUCTEUR Lot n° 1: 802m2 lot n°2: 748m2 lot n°3: 850m² lot n°4 : 1030m² Vous allez apprécier son environnement. réf. MO59-lot-AZE Surface : 1030 m² Non soumis au DPE Prix du bien : 56000 € Honoraires à la charge du vendeur Consommation énergie primaire : Non communiqué Consommation énergie finale : Non communiqué
Terrain à Azé, France 1030m² No. 81803
$ 65 638
$ 64 Prix pour m²
28.03.2025
$ 69 154
1030
Espace de vie, m²
Azé, France

